Supertufão Cat 5 Sinlaku, o segundo tufão mais forte no início do ano »Conexões Climáticas de Yale

PUBLICIDADE

Supertufão Cat 5 Sinlaku, o segundo tufão mais forte no início do ano »Conexões Climáticas de Yale

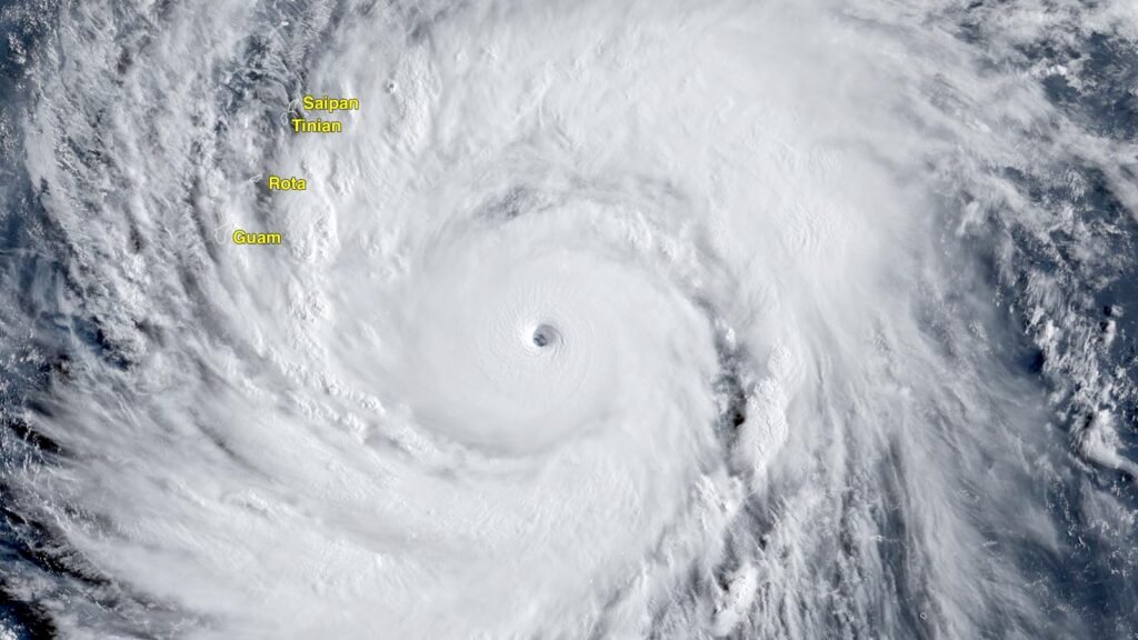
O ciclone tropical Sinlaku apresentou uma exibição espetacular de rápida intensificação sobre as águas quentes do Pacífico a sudeste de Guam no início do domingo, tornando-se o segundo ciclone tropical de categoria 5 do mundo em 2026 às 11h EDT de 12 de abril, com ventos de 175 mph (280 km/h), conforme avaliado pelo Joint Typhoon Warning Center (JTWC). Sinlaku representará uma ameaça extremamente perigosa para as Ilhas Marianas do Norte dos EUA na segunda e terça-feira.

Sinlaku provavelmente atingiu o pico às 17h EDT de domingo, com ventos de 180 mph (285 km/h). Sinlaku está muito próximo de sua intensidade potencial máxima (MPI) – a maior intensidade que um ciclone tropical pode atingir sob as condições atmosféricas e oceânicas existentes – que deve ser próxima de 280 km/h (175 mph), de acordo com um gráfico do CIMSS da Universidade de Wisconsin (veja a postagem Bluesky abaixo). Atualizar: O JTWC atualizou os ventos que ocorreram no pico de intensidade de Sinlaku para 185 mph (300 km/h). (obrigado por Jasper Deng por esta estatística)

Às 21h de domingo, a Agência Meteorológica do Japão, agência oficial responsável pelos alertas de tufões no Noroeste do Pacífico, estimou que a pressão central de Sinlaku era de 905 MB, com ventos de 135 mph (215 km/h) (média de 10 minutos, que normalmente é substancialmente inferior à média de 1 minuto usada pelo Joint Typhoon Warning Center). O nome de Sinlaku foi uma contribuição dos Estados Federados da Micronésia e refere-se à deusa da natureza e à fruta-pão da Ilha Kosrae.

Sinlaku aproveitou as condições favoráveis ​​para a sua rápida intensificação: baixo cisalhamento do vento de 5-10 nós, temperaturas da superfície do mar de 28-29 graus Celsius (82-84°F), com águas quentes que se estendiam a grandes profundidades (um conteúdo de calor oceânico de 125-150 quilojoules por centímetro quadrado). Sinlaku intensificou-se em 75 mph (120 km/h) nas 24 horas que terminaram às 12H de domingo. O Joint Typhoon Warning Center está prevendo que Sinlaku atingiu o pico de intensidade e enfraquecerá lentamente na segunda-feira à medida que se aproxima das Ilhas Marianas do Norte dos EUA, e passará muito perto das ilhas de Tinian (população 2.000) e Saipan (população 43.000) na manhã de terça-feira (EUA EDT).

Uma tempestade histórica para tão cedo no ano

A lista de tufões de categoria 5 classificados pelo JTWC para os meses de janeiro a abril é curta, com apenas dez tempestades:

Surigae, ventos de 195 mph, 17 de abril de 2021;
Hester, ventos de 185 mph, 1º de janeiro de 1953;
Sinlaku, ventos de 185 mph, 12 de abril de 2026;
Maysak, ventos de 175 mph, ter. 31 de outubro de 2015;
Thelma, ventos de 175 mph, 20 de abril de 1956;
Wutip, ventos de 165 mph, 23 de fevereiro de 2019;
Isa, ventos de 165 mph, 20 de abril de 1997;
Mitag, ventos de 160 mph, 5 de março de 2002;
Andy, ventos de 160 mph, 21 de abril de 1989; e
Ophelia, ventos de 160 mph, 13 de janeiro de 1958.

Figura 1. Tempestades de categoria 5 a nível mundial, 1982-2025, com base em dados do JTWC e NHC. Houve um aumento no número de Cat 5 em todo o mundo desde que dados globais precisos de satélite foram disponibilizados em 1982, estatisticamente significativo ao nível de 99,5%.

Dois Cat 5s até agora em 2026

O outro Cat 5 de 2026 até agora foi o ciclone tropical Horacio, que atingiu o pico com ventos de 160 mph (260 km/h) sobre as águas quentes do remoto sul do Oceano Índico em 23 de fevereiro de 2026. Horacio não impactou nenhuma área de terra. O número médio anual de tempestades de categoria 5 entre 1990 e 2025 em todo o mundo foi de 5,3; houve cinco em 2025 (furacões Melissa, Erin e Humberto no Atlântico; tufão Ragasa no noroeste do Pacífico; e ciclone Errol no sul da Índia).

Como pode ser visto na Figura 1, houve um aumento no número de Cat 5 em todo o mundo desde que dados globais precisos de satélite foram disponibilizados em 1982 (tecnicamente, isto é estatisticamente significativo ao nível de 99,5%). Prevê-se que as alterações climáticas aumentem a proporção de ciclones tropicais que atingem a intensidade das categorias 4 e 5.

Bob Henson contribuiu para esta postagem.

Republicar nossos artigos gratuitamente, online ou impressos, sob uma licença Creative Commons.



Mais recentes

PUBLICIDADE

WP Twitter Auto Publish Powered By : XYZScripts.com